Біля «Епіцентру», який будують у Ковелі, облаштують парковку на 91 авто
У Ковелі на вулиці Володимирській, 135 а, на перетині з вулицею Варшавською, триває масштабне будівництво гіпермаркету національної мережі торгових центрів «Епіцентр». Для зручності покупців біля об'єкту торгівлі збудують майданчик для паркування автомобілів на 91 машиномісце.
Про це йдеться у повідомленні про початок процедури розгляду та врахування пропозицій громадськості у містобудівній документації, розміщеному на офіційному сайті Ковельської міської ради, передає КОВЕЛЬ POST.
У новому гіпермаркеті продаватимуть матеріали для будівництва та ремонту, інвентар господарського призначення для дому, саду та городу, меблі та побутову техніку, товари для оздоблення житла у форматі «від і до».
Відомо, завершити спорудження об'єкта планують до кінця літа 2019 року.
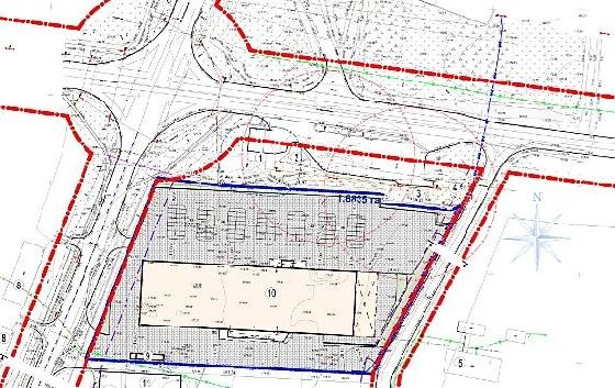
Зміни до детального плану території стосуються земельної ділянки площею 1,6835 га, яка перебуває у приватній власності (належить Товариству з обмеженою відповідальністю «Епіцентр К») для будівництва та обслуговування будівель торгівлі. Проектом уточнюється площа забудови торгового комплексу і його транспортне обслуговування.
Зазначають, площа забудови об’єкта торгівлі складатиме 5320,0 кв.м, площа мощення - 10372,7 кв.м, площа озеленення – 1142,3 кв.м. Для належного обслуговування торгового комплексу передбачається влаштування майданчика для паркування автомобілів на 91 машиномісце.
Детальна інформація за посиланням тут.
Бажаєте дізнаватися головні новини Луцька та Волині першими? Приєднуйтеся до нашого каналу в Telegram!
Про це йдеться у повідомленні про початок процедури розгляду та врахування пропозицій громадськості у містобудівній документації, розміщеному на офіційному сайті Ковельської міської ради, передає КОВЕЛЬ POST.
У новому гіпермаркеті продаватимуть матеріали для будівництва та ремонту, інвентар господарського призначення для дому, саду та городу, меблі та побутову техніку, товари для оздоблення житла у форматі «від і до».
Відомо, завершити спорудження об'єкта планують до кінця літа 2019 року.
Зміни до детального плану території стосуються земельної ділянки площею 1,6835 га, яка перебуває у приватній власності (належить Товариству з обмеженою відповідальністю «Епіцентр К») для будівництва та обслуговування будівель торгівлі. Проектом уточнюється площа забудови торгового комплексу і його транспортне обслуговування.
Зазначають, площа забудови об’єкта торгівлі складатиме 5320,0 кв.м, площа мощення - 10372,7 кв.м, площа озеленення – 1142,3 кв.м. Для належного обслуговування торгового комплексу передбачається влаштування майданчика для паркування автомобілів на 91 машиномісце.
Детальна інформація за посиланням тут.
Бажаєте дізнаватися головні новини Луцька та Волині першими? Приєднуйтеся до нашого каналу в Telegram!
Якщо Ви зауважили помилку, виділіть її та натисніть Ctrl+Enter для того, щоб повідомити про це редакцію
Коментарі 0
Останні новини
На Волині зловили людей, які продавали на ринку «незаконну» рибу
18 липня, 2019, 16:14
У Києві на ходу загорілася маршрутка з пасажирами. ФОТО. ВІДЕО
18 липня, 2019, 16:02
Біля «Епіцентру», який будують у Ковелі, облаштують парковку на 91 авто
18 липня, 2019, 15:53
На Волині у підприємця вилучили 95 тонн ягід чорниці
18 липня, 2019, 15:36
Загиблий український ведучий передчував свою смерть
18 липня, 2019, 15:14
