Україна надзвичайна: неймовірні факти про країну. ФОТО
Не дивлячись на те, що з усіх боків українцям намагаються довести, що вони ні на що не здатні, що найкращий вихід для них – «валити з цієї країни якомога швидше», що дивитися в Україні немає на що і світові на нас начхати, цифри статистики та факти говорять нам речі абсолютно протилежні, - повідомляє ВС Панорама-медіа.
Найбільша країна, що знаходиться в Європі. Країна, що займає 0,41% світової території суші, в якій мешкає 0,85% населення планети та яка приносить 0,20% світового валового національного продукту.
Країна, на території якої зосереджена чверть всіх запасів чорнозему на Землі. Країна, яка входить до трійки найбільших постачальників ячменю, є однією з найпотужніших виробників зерна. Разом із Францією, Німеччиною та США є одним з найбільших виробників цукрового буряка.
Наша країна входить до сімки найпотужніших у світі виробників рослинної олії, свинини, цукру та картоплі. Сотні видатних українців були та залишаються творцями світової історії. Художники та науковці, політики та композитори, актори та письменники – всі вони дають нам можливість за кордоном чи в себе вдома з гордістю сказати: «Я – українець!»
Перші в світі
Українці, а саме конструкторське бюро Антонова, розробили літак із найбільшою у світі вантажопідйомністю — Ан-225 «Мрія». Спочатку він проектувався для транспортування космічних кораблів. Наразі «Мрія» виконує комерційні вантажні перевезення.
Автор першої в світі Конституції – український політичний і громадський діяч Пилип Орлик. 5 квітня 1710 року його обрали гетьманом Запорізького війська. У цей же день Пилип Орлик оголосив «Конституцію прав і свобод війська Запорізького». У США Конституцію прийняли в 1787 році, у Франції та Польщі — тільки в 1791 році.
Перший рамковий вулик винайдено в Україні у 1814 році Петром Прокоповичем. Україна в останні роки впевнено зберігає місце в трійці світових лідерів з виробництва меду. Випереджаючи країни Європи за обсягами виробництва меду в кілька разів, Україна є одночасно першою в світі з виробництва меду на душу населення (1,5 кг).
В Україні найбільші в світі запаси марганцевої руди – 2,3 млрд т, або близько 11% від усього світового запасу.
Найбільші чоловічі монастирі йменуються Лаврами. Статус Лаври мають лише шість монастирів у світі. Три з них знаходяться в Україні. Це Свято-Успенська Києво-Печерська Лавра в Києві, що отримала цей статус ще у 1598 році, Свято-Успенська Лавра в місті Почаїв і Святогірська Свято-Успенська Лавра на Донеччині.
Найстарішим навчальним закладом Східної Європи вважається Києво-Могилянська академія (1615 р.).
Перша гасова лампа винайдена у м. Львові працівниками аптеки «Під золотою зіркою» Ігнатієм Лукасевичем та Яном Зехом у 1853 році. Того ж року у львівському шпиталі була проведена перша хірургічна операція при освітленні гасовою лампою. Згодом гасова лампа була представлена на міжнародній виставці в Мюнхені, винахід був відзначений там спеціальною грамотою.
Пам’ятники відомому українському поетові Тарасу Шевченку встановлені в 1200 місцях по всьому світові.
Станція метро «Арсенальна» у Києві — найглибша у світі. Вона проходить під землею на глибині 105 м. Станцію біля будівлі парламенту побудували в 1960 році, однією з перших. За деякими даними, у тунелях біля «Арсенальної» є таємні схованки для політичної верхівки.
Український духовий інструмент трембіта — найдовший духовий музичний інструмент у світі.
Найдовший тролейбусний маршрут в світі складає 86 км, а проходить він у Криму між Сімферополем та Ялтою.
Найкоротша головна вулиця серед усіх столиць світу, але в той же час одна з найширших і найгарніших – Хрещатик у Києві. Її довжина всього 1225 м.
Найдавніша відома ученим мапа, а також найстародавніше поселення Homo Sapiens знайдені в Україні: у с. Межиріччя Рівненської області. Їм близько 14,5-15 тис. років. Мапу вибито на кістці мамонта.
Український «Південмаш» (м. Дніпропетровськ) виробляє найбільш екологічні ракетоносії у світі. За їх допомогою у космос відправляють комерційні вантажі у рамках міжнародного проекту «Морський старт».
Унікальні факти в Україні
Першим вищим навчальним закладом в Україні була Острозька колегія, що була заснована у м. Острог князем Костянтином Острозьким у 1576 році. Тоді це були єдині вищі навчальні заклади у східнослов’янському світі.
Найдовша печера України носить назву «Оптимістична» і знаходиться на Поділлі. Це гіпсова печера на глибині 20 м протяжністю 216 км. Найдовша гіпсова печера у світі і друга за протяжністю взагалі, вона поступається лише Мамонтовій печері в США.
В Україні, в містечку Рахові, в оточенні мальовничих Карпат знаходиться географічний центр Європи.
Найстарішим деревом в Україні вважається 1300-річний дуб в урочищі Юзефін Рівненської області.
Українці зробили найбільший у світі келих для шампанського об’ємом в 56,25 л. Як пити шампанське з такого келиха, поки незрозуміло, але це ще один офіційний світовий рекорд Гіннесса від українців.
Третій найвідвідуваніший у світі Макдональдс знаходиться в Києві біля залізничного вокзалу. Цей заклад незмінно потрапляє до п’ятірки найбільш жвавих Макдональдсів світу.
Територією України пролягав один з найбільших історичних транспортних шляхів — «шлях із варяг у греки» — система річкових шляхів і волоків між ними завдовжки 3 тис. км, що пов’язувала північні землі Давньої Русі з південними руськими землями та Балтійське море з Чорним. Протягом усієї давньої історії Україна-Русь виступала мостом між світами Східної Європи і Давнім Сходом, Європою античною, візантійською і латинською.
Україна посідає четверте місце у світі за кількістю громадян з вищою освітою. Населення України належить до найбільш освічених, а кількість людей з вищою освітою на душу населення — вища за середньоєвропейський рівень.
Цікаві історії / особистості
Пабло Пікассо був у захопленні від робіт української художниці Катерини Білокур (1900-1961). Коли в 1954 році він побачив її роботи на виставці, то сказав, що вони геніальні і порівняв Катерину Білокур з відомою всьому світові художницею Серафін Луіс.
Одна з найвідоміших у світі різдвяних пісень — це «Щедрик», народна пісня, записана українським композитором Миколою Леонтовичем. Світ знає її як Carol of the Bells або Ring Christmas Bells. На Youtub різні виконання «Щедрика» набирають мільйони переглядів.
Під час англо-бурської війни (Південна Африка) в 1899-1902 рр. командир одного з загонів бурів, українець Юрій Будяк, врятував від розстрілу одного молодого англійського журналіста. Згодом останній допоміг Будяку вступити до Оксфордського університету. В 1917 р. Юрій працював в уряді Української Народної Республіки. В 1943 р. Юрій Будяк помер в радянському концтаборі. Англійського журналіста звали Вінстон Черчилль.
В Україні налічувалося 19,4 млн свиней. Сьогодні їх удвічі менше — 8,3 млн. Не дивлячись на репутацію салоїда, середньостатистичний українець з'їдає всього 18 кг свинини на рік. Це втричі менше, ніж звичайний німець.
В Україні поблизу Нікополя, на косі біля р. Лапінки, на одному з рукавів Дніпра можна побачити, а точніше почути явище, що рідко зустрічається у світі, — співучі піски. «Спів» цих, мабуть, найдивніших пісків чути після дощу, коли верхній шар злипається і утворює крихку кірку. Крокуючи нею, можна почути звуки, подібні до свисту повітря, випущеного з автомобільної камери.
В містечку Бердичів (Житомирська область) в костелі Святої Варвари 14 березня 1850 році місцева красуня Евеліна Ганська була повінчана з Оноре де Бальзаком. У цьому ж містечку тривалий час жив Фредерік Шопен, який крім написання музики також керував роботами з реставрації тамтешнього органу.
Підверстка:
ОЛЕШКІВСЬКА ПУСТЕЛЯ. Одна з найбільших пустель Європи знаходиться саме в Україні.
Олешківські піски складаються із безмежних барханів (тутешні мешканці називають їх «кучугурами») висотою близько 5 м з негустою рослинністю. Знаходяться ці піски у Цюрупінському районі (стара назва Цюрупінська – Олешки), за 30 км на схід від м. Херсон. Дніпровські піски існували здавна, але Олешківська пустеля у нинішньому своєму вигляді з’явилася порівняно нещодавно: через випасання величезних отар овець у ХІХ ст., які знищили траву, звільнилися піски, а вітрова ерозія дала їм можливість розширюватися.
Олешківські піски за температурним режимом та кількістю опадів можна швидше віднести до напівпустель. Влітку пісок нагрівається до 70 градусів. Трапляються тут піщані бурі.
В пустелі на глибині 300-400 м існує прісне підземне озеро з дуже смачною водою. Проте науковці дослідили, що масштабно добувати звідси воду не можна, оскільки рівень води знизиться, і ліси, які насаджені довкола пустелі, не зможуть стримувати піски. До найближчого населеного пункту – близько 7 км.
Раніше в Олешківських пісках знаходився військовий полігон, на якому відпрацьовували бомбування льотчики з країн Варшавського договору. У зв’язку з цим було обмежено наукове дослідження регіону. І зараз у пісках знаходиться значна кількість снарядів, що не розірвалися.
МУЗИКА ДУШІ. Українські народні пісні спонукали багатьох композиторів до написання світових музичних шедеврів
В основі композиції Summertime — арії, яку написав Джордж Гершвін у 1935 р. для опери «Поргі та Бесс», однієї з найвідоміших пісень у світі — лежить українська колискова «Ой, ходить сон коло вікон».
Цю композицію Гершвін почув у Нью-Йорку у виконанні Українського Національного Хору під керівництвом Олександра Кошица. Почув — і написав одне з найгеніальніших і найвідоміших джазових творінь. З моменту написання композиції її виконали безліч виконавців, але найвідомішим лишається Summertime у виконанні Луї Армстронга, Елли Фіцджеральд, а також Чарлі Паркера.
НАЙКРУТІШИЙ УКРАЇНЕЦЬ. Українського пауерліфтера Дмитра Халаджі внесено до Книги рекордів Гіннесса, як автора більш ніж двох десятків рекордів.
2005 р. — дворазовий рекордсмен книги рекордів Гіннесса: 1 — «Камінь Бібона» (підняв мізинцем однієї руки камінь вагою 152 кг); 2 — «Чортова кузня» (поклав на груди 3 бетонних блоки вагою 700 кг, які були розбиті кувалдами, лежачи на цвяхах).
2005 р. — рекордсмен книги рекордів Росії (підйом лівою рукою вгору двох гир вагою 122 кг; забивання цвяхів у дошку товщиною 4 см голою рукою на час — 15 цвяхів за 1 хвилину).
2006 р. — рекордсмен книги рекордів України та Росії («Хрест»: утримання на витягнутих в сторони руках гир вагою по 64 кг протягом 4 секунд — так званий «тест Піддубного»).
2006 р. — встановлено 7 світових рекордів на Всесвітньому гирьовому марафоні в Мінську («Хрест Гокеншміта» — 7 раз порушено на мізинця з гирями по 32 кг; «Хрест Гокеншміта» — 1 раз порушено на мізинця з гирями по 48 кг; жим правою рукою двох гир загальною вагою 92 кг, 8 повторень; жим двома руками чотирьох гир загальною вагою 112 кг, 15 повторень; підйом однією рукою ваги 110 кг вгору і жим другою — 48 кг; жонглювання 80-кілограмовою гирею на 5 кидків; поштовх на мізинці однієї правої руки людини вагою 110 кг на 20 повторень).
2006 р. — 2 рекорди для книги рекордів України: кидок на шию штанги вагою 150 кг (одне повторення) і штанги в 50 кг на 51 повторення.
2006 р. — 3 рекорди для книги рекордів України: 1) згинання арматурного прута діаметром 23 мм і довжиною 120 см зубами, 2) забивання голою рукою 5-ти цвяхів у дошку діаметром 4 см через лист бляхи 0,7 мм, 3) поштовх лівою рукою двох людей загальним вагою 147 кг, 3 повторення.
2007 р. — рекорд Книги рекордів України — підняв трубу вагою 860 кг, а через 10 хвилин — ще одну, 1022-кілограмову. Тим самим він побив 300-літній світовий рекорд британця Томмі Тофіана, який підняв три бочки з водою загальною вагою 800 кг.
ТРОЯНДА У ВОЛОСІ. Волосина просвердлена по довжині та відполірована зверху і всередині до прозорості. У середину волосини вставлено виготовлену гілочку троянди, товщина якої 0,05 мм.
Українець Микола Сядристий, хоч і не шульга, але підкував блоху та зробив ще величезну кількість неймовірних витворів мистецтва. Творчість цього майстра затвердила у світі появу нового поняття – «мікромініатюра», якого раніше не було ні в енциклопедіях, ні у словниках.
Мистецтво Миколи Сядристого обійшло всі континенти, залишаючи незабутнє враження серед глядачів різних країн світу. Найбільш повно його твори представлені в Московському політехнічному музеї, у постійній експозиції мікромініатюр в Києво-Печерському заповіднику і в Музеї мікромініатюр в Князівстві Андорра.
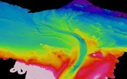
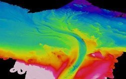
ЧУДО СВІТУ. У Чорному морі виявили єдину в світі підводну річку.
Британські вчені знайшли на дні Чорного моря єдину в світовому океані підводну річку. Це відкриття зробили вчені з університету англійського м. Лідс, які проводили тут наукові дослідження. З’ясувалося, що довжина річки становить 37 морських миль, ширина – більше півмилі, а швидкість течії води – 4 милі на годину (близько 7,5 км/г). Було також відзначено, що річка переносить колосальні обсяги води – 22 тис. кубічних метрів на секунду.
Якщо б ця річка перебувала на суші, то, посідала б шосте місце в світі за цим показником. Водний потік утворений проникненням через протоку Босфор більш солоної води Мармурового моря в менш солоне середовище Чорного моря. Таким чином, вода в річці відрізняється високою концентрацією солі.
Бажаєте дізнаватися головні новини Луцька та Волині першими? Приєднуйтеся до нашого каналу в Telegram!
Найбільша країна, що знаходиться в Європі. Країна, що займає 0,41% світової території суші, в якій мешкає 0,85% населення планети та яка приносить 0,20% світового валового національного продукту.
Країна, на території якої зосереджена чверть всіх запасів чорнозему на Землі. Країна, яка входить до трійки найбільших постачальників ячменю, є однією з найпотужніших виробників зерна. Разом із Францією, Німеччиною та США є одним з найбільших виробників цукрового буряка.
Наша країна входить до сімки найпотужніших у світі виробників рослинної олії, свинини, цукру та картоплі. Сотні видатних українців були та залишаються творцями світової історії. Художники та науковці, політики та композитори, актори та письменники – всі вони дають нам можливість за кордоном чи в себе вдома з гордістю сказати: «Я – українець!»
Перші в світі
Українці, а саме конструкторське бюро Антонова, розробили літак із найбільшою у світі вантажопідйомністю — Ан-225 «Мрія». Спочатку він проектувався для транспортування космічних кораблів. Наразі «Мрія» виконує комерційні вантажні перевезення.
Автор першої в світі Конституції – український політичний і громадський діяч Пилип Орлик. 5 квітня 1710 року його обрали гетьманом Запорізького війська. У цей же день Пилип Орлик оголосив «Конституцію прав і свобод війська Запорізького». У США Конституцію прийняли в 1787 році, у Франції та Польщі — тільки в 1791 році.
Перший рамковий вулик винайдено в Україні у 1814 році Петром Прокоповичем. Україна в останні роки впевнено зберігає місце в трійці світових лідерів з виробництва меду. Випереджаючи країни Європи за обсягами виробництва меду в кілька разів, Україна є одночасно першою в світі з виробництва меду на душу населення (1,5 кг).
В Україні найбільші в світі запаси марганцевої руди – 2,3 млрд т, або близько 11% від усього світового запасу.
Найбільші чоловічі монастирі йменуються Лаврами. Статус Лаври мають лише шість монастирів у світі. Три з них знаходяться в Україні. Це Свято-Успенська Києво-Печерська Лавра в Києві, що отримала цей статус ще у 1598 році, Свято-Успенська Лавра в місті Почаїв і Святогірська Свято-Успенська Лавра на Донеччині.
Найстарішим навчальним закладом Східної Європи вважається Києво-Могилянська академія (1615 р.).
Перша гасова лампа винайдена у м. Львові працівниками аптеки «Під золотою зіркою» Ігнатієм Лукасевичем та Яном Зехом у 1853 році. Того ж року у львівському шпиталі була проведена перша хірургічна операція при освітленні гасовою лампою. Згодом гасова лампа була представлена на міжнародній виставці в Мюнхені, винахід був відзначений там спеціальною грамотою.
Пам’ятники відомому українському поетові Тарасу Шевченку встановлені в 1200 місцях по всьому світові.
Станція метро «Арсенальна» у Києві — найглибша у світі. Вона проходить під землею на глибині 105 м. Станцію біля будівлі парламенту побудували в 1960 році, однією з перших. За деякими даними, у тунелях біля «Арсенальної» є таємні схованки для політичної верхівки.
Український духовий інструмент трембіта — найдовший духовий музичний інструмент у світі.
Найдовший тролейбусний маршрут в світі складає 86 км, а проходить він у Криму між Сімферополем та Ялтою.
Найкоротша головна вулиця серед усіх столиць світу, але в той же час одна з найширших і найгарніших – Хрещатик у Києві. Її довжина всього 1225 м.
Найдавніша відома ученим мапа, а також найстародавніше поселення Homo Sapiens знайдені в Україні: у с. Межиріччя Рівненської області. Їм близько 14,5-15 тис. років. Мапу вибито на кістці мамонта.
Український «Південмаш» (м. Дніпропетровськ) виробляє найбільш екологічні ракетоносії у світі. За їх допомогою у космос відправляють комерційні вантажі у рамках міжнародного проекту «Морський старт».
Унікальні факти в Україні
Першим вищим навчальним закладом в Україні була Острозька колегія, що була заснована у м. Острог князем Костянтином Острозьким у 1576 році. Тоді це були єдині вищі навчальні заклади у східнослов’янському світі.
Найдовша печера України носить назву «Оптимістична» і знаходиться на Поділлі. Це гіпсова печера на глибині 20 м протяжністю 216 км. Найдовша гіпсова печера у світі і друга за протяжністю взагалі, вона поступається лише Мамонтовій печері в США.
В Україні, в містечку Рахові, в оточенні мальовничих Карпат знаходиться географічний центр Європи.
Найстарішим деревом в Україні вважається 1300-річний дуб в урочищі Юзефін Рівненської області.
Українці зробили найбільший у світі келих для шампанського об’ємом в 56,25 л. Як пити шампанське з такого келиха, поки незрозуміло, але це ще один офіційний світовий рекорд Гіннесса від українців.
Третій найвідвідуваніший у світі Макдональдс знаходиться в Києві біля залізничного вокзалу. Цей заклад незмінно потрапляє до п’ятірки найбільш жвавих Макдональдсів світу.
Територією України пролягав один з найбільших історичних транспортних шляхів — «шлях із варяг у греки» — система річкових шляхів і волоків між ними завдовжки 3 тис. км, що пов’язувала північні землі Давньої Русі з південними руськими землями та Балтійське море з Чорним. Протягом усієї давньої історії Україна-Русь виступала мостом між світами Східної Європи і Давнім Сходом, Європою античною, візантійською і латинською.
Україна посідає четверте місце у світі за кількістю громадян з вищою освітою. Населення України належить до найбільш освічених, а кількість людей з вищою освітою на душу населення — вища за середньоєвропейський рівень.
Цікаві історії / особистості
Пабло Пікассо був у захопленні від робіт української художниці Катерини Білокур (1900-1961). Коли в 1954 році він побачив її роботи на виставці, то сказав, що вони геніальні і порівняв Катерину Білокур з відомою всьому світові художницею Серафін Луіс.
Одна з найвідоміших у світі різдвяних пісень — це «Щедрик», народна пісня, записана українським композитором Миколою Леонтовичем. Світ знає її як Carol of the Bells або Ring Christmas Bells. На Youtub різні виконання «Щедрика» набирають мільйони переглядів.
Під час англо-бурської війни (Південна Африка) в 1899-1902 рр. командир одного з загонів бурів, українець Юрій Будяк, врятував від розстрілу одного молодого англійського журналіста. Згодом останній допоміг Будяку вступити до Оксфордського університету. В 1917 р. Юрій працював в уряді Української Народної Республіки. В 1943 р. Юрій Будяк помер в радянському концтаборі. Англійського журналіста звали Вінстон Черчилль.
В Україні налічувалося 19,4 млн свиней. Сьогодні їх удвічі менше — 8,3 млн. Не дивлячись на репутацію салоїда, середньостатистичний українець з'їдає всього 18 кг свинини на рік. Це втричі менше, ніж звичайний німець.
В Україні поблизу Нікополя, на косі біля р. Лапінки, на одному з рукавів Дніпра можна побачити, а точніше почути явище, що рідко зустрічається у світі, — співучі піски. «Спів» цих, мабуть, найдивніших пісків чути після дощу, коли верхній шар злипається і утворює крихку кірку. Крокуючи нею, можна почути звуки, подібні до свисту повітря, випущеного з автомобільної камери.
В містечку Бердичів (Житомирська область) в костелі Святої Варвари 14 березня 1850 році місцева красуня Евеліна Ганська була повінчана з Оноре де Бальзаком. У цьому ж містечку тривалий час жив Фредерік Шопен, який крім написання музики також керував роботами з реставрації тамтешнього органу.
Підверстка:
ОЛЕШКІВСЬКА ПУСТЕЛЯ. Одна з найбільших пустель Європи знаходиться саме в Україні.
Олешківські піски складаються із безмежних барханів (тутешні мешканці називають їх «кучугурами») висотою близько 5 м з негустою рослинністю. Знаходяться ці піски у Цюрупінському районі (стара назва Цюрупінська – Олешки), за 30 км на схід від м. Херсон. Дніпровські піски існували здавна, але Олешківська пустеля у нинішньому своєму вигляді з’явилася порівняно нещодавно: через випасання величезних отар овець у ХІХ ст., які знищили траву, звільнилися піски, а вітрова ерозія дала їм можливість розширюватися.
Олешківські піски за температурним режимом та кількістю опадів можна швидше віднести до напівпустель. Влітку пісок нагрівається до 70 градусів. Трапляються тут піщані бурі.
В пустелі на глибині 300-400 м існує прісне підземне озеро з дуже смачною водою. Проте науковці дослідили, що масштабно добувати звідси воду не можна, оскільки рівень води знизиться, і ліси, які насаджені довкола пустелі, не зможуть стримувати піски. До найближчого населеного пункту – близько 7 км.
Раніше в Олешківських пісках знаходився військовий полігон, на якому відпрацьовували бомбування льотчики з країн Варшавського договору. У зв’язку з цим було обмежено наукове дослідження регіону. І зараз у пісках знаходиться значна кількість снарядів, що не розірвалися.
МУЗИКА ДУШІ. Українські народні пісні спонукали багатьох композиторів до написання світових музичних шедеврів
В основі композиції Summertime — арії, яку написав Джордж Гершвін у 1935 р. для опери «Поргі та Бесс», однієї з найвідоміших пісень у світі — лежить українська колискова «Ой, ходить сон коло вікон».
Цю композицію Гершвін почув у Нью-Йорку у виконанні Українського Національного Хору під керівництвом Олександра Кошица. Почув — і написав одне з найгеніальніших і найвідоміших джазових творінь. З моменту написання композиції її виконали безліч виконавців, але найвідомішим лишається Summertime у виконанні Луї Армстронга, Елли Фіцджеральд, а також Чарлі Паркера.
НАЙКРУТІШИЙ УКРАЇНЕЦЬ. Українського пауерліфтера Дмитра Халаджі внесено до Книги рекордів Гіннесса, як автора більш ніж двох десятків рекордів.
2005 р. — дворазовий рекордсмен книги рекордів Гіннесса: 1 — «Камінь Бібона» (підняв мізинцем однієї руки камінь вагою 152 кг); 2 — «Чортова кузня» (поклав на груди 3 бетонних блоки вагою 700 кг, які були розбиті кувалдами, лежачи на цвяхах).
2005 р. — рекордсмен книги рекордів Росії (підйом лівою рукою вгору двох гир вагою 122 кг; забивання цвяхів у дошку товщиною 4 см голою рукою на час — 15 цвяхів за 1 хвилину).
2006 р. — рекордсмен книги рекордів України та Росії («Хрест»: утримання на витягнутих в сторони руках гир вагою по 64 кг протягом 4 секунд — так званий «тест Піддубного»).
2006 р. — встановлено 7 світових рекордів на Всесвітньому гирьовому марафоні в Мінську («Хрест Гокеншміта» — 7 раз порушено на мізинця з гирями по 32 кг; «Хрест Гокеншміта» — 1 раз порушено на мізинця з гирями по 48 кг; жим правою рукою двох гир загальною вагою 92 кг, 8 повторень; жим двома руками чотирьох гир загальною вагою 112 кг, 15 повторень; підйом однією рукою ваги 110 кг вгору і жим другою — 48 кг; жонглювання 80-кілограмовою гирею на 5 кидків; поштовх на мізинці однієї правої руки людини вагою 110 кг на 20 повторень).
2006 р. — 2 рекорди для книги рекордів України: кидок на шию штанги вагою 150 кг (одне повторення) і штанги в 50 кг на 51 повторення.
2006 р. — 3 рекорди для книги рекордів України: 1) згинання арматурного прута діаметром 23 мм і довжиною 120 см зубами, 2) забивання голою рукою 5-ти цвяхів у дошку діаметром 4 см через лист бляхи 0,7 мм, 3) поштовх лівою рукою двох людей загальним вагою 147 кг, 3 повторення.
2007 р. — рекорд Книги рекордів України — підняв трубу вагою 860 кг, а через 10 хвилин — ще одну, 1022-кілограмову. Тим самим він побив 300-літній світовий рекорд британця Томмі Тофіана, який підняв три бочки з водою загальною вагою 800 кг.
ТРОЯНДА У ВОЛОСІ. Волосина просвердлена по довжині та відполірована зверху і всередині до прозорості. У середину волосини вставлено виготовлену гілочку троянди, товщина якої 0,05 мм.
Українець Микола Сядристий, хоч і не шульга, але підкував блоху та зробив ще величезну кількість неймовірних витворів мистецтва. Творчість цього майстра затвердила у світі появу нового поняття – «мікромініатюра», якого раніше не було ні в енциклопедіях, ні у словниках.
Мистецтво Миколи Сядристого обійшло всі континенти, залишаючи незабутнє враження серед глядачів різних країн світу. Найбільш повно його твори представлені в Московському політехнічному музеї, у постійній експозиції мікромініатюр в Києво-Печерському заповіднику і в Музеї мікромініатюр в Князівстві Андорра.
ЧУДО СВІТУ. У Чорному морі виявили єдину в світі підводну річку.
Британські вчені знайшли на дні Чорного моря єдину в світовому океані підводну річку. Це відкриття зробили вчені з університету англійського м. Лідс, які проводили тут наукові дослідження. З’ясувалося, що довжина річки становить 37 морських миль, ширина – більше півмилі, а швидкість течії води – 4 милі на годину (близько 7,5 км/г). Було також відзначено, що річка переносить колосальні обсяги води – 22 тис. кубічних метрів на секунду.
Якщо б ця річка перебувала на суші, то, посідала б шосте місце в світі за цим показником. Водний потік утворений проникненням через протоку Босфор більш солоної води Мармурового моря в менш солоне середовище Чорного моря. Таким чином, вода в річці відрізняється високою концентрацією солі.
Бажаєте дізнаватися головні новини Луцька та Волині першими? Приєднуйтеся до нашого каналу в Telegram!
Якщо Ви зауважили помилку, виділіть її та натисніть Ctrl+Enter для того, щоб повідомити про це редакцію
Коментарі 1
Вікіпедія: "Острозька академія — перший вищий навчальний заклад у Східній Європі, найстарша українська науково-освітня установа, заснована у 1576 році князем Василем-Костянтином Острозьким". Києво-Могилянська академія з'явилася пізніше.
Вибір редактора
Останні новини
Арештовано $1,4 мільярд Януковича, – МВС
10 липня, 2015, 00:33
10 липня на Волині: гортаючи календар
10 липня, 2015, 00:00
Україна надзвичайна: неймовірні факти про країну. ФОТО
09 липня, 2015, 23:00
В районі Чорнобильської АЕС може з'явитися заповідник і сонячна електростанція. ФОТО
09 липня, 2015, 21:30
